Coral reefs, the crown jewels of the ocean, contain several critically endangered species. Some of them now have a better chance of being meaningfully restored thanks to this game-changing discovery.
According to Phys.org, researchers from SECORE International, the CARMABI Foundation, and the University of Amsterdam published a study in PeerJ that found optimal strategies for using in vitro fertilization to reproduce four species of coral.
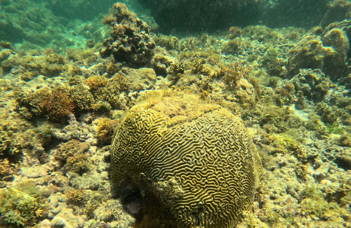
The beautifully named species are Diploria labyrinthiformis, Colpophyllia natans, Pseudodiploria strigosa, and Orbicella faveolata. They are all from the Caribbean and are vital to maintaining the area's marine ecosystems.
One of the study's key findings is how fast fertilization happens within each kind of coral.
D. labyrinthiformis, C. natans, and P. strigosa are all brain corals, which fertilize within 15 minutes. O. faveolata, however, can provide a foundation to a coral reef and needs about one to two hours to be successful.
This work is incredibly crucial because the Caribbean houses about 10% of the world's coral reefs. The Global Coral Reef Monitoring Network released a report in 2021 that stated that Caribbean coral reefs have suffered greatly over the last several decades because of, among other issues, water pollution from tourists and inadequate sewage management.
Save big on holiday spirit with 25% off lighting — this week only![]() CVS has you covered this holiday season, with thousands of gifts, perfect stocking stuffers, joyful holiday decor, and more. You’ll find exciting advent calendars, personalized holiday photos, tasty treats like Ghirardelli peppermint bark, and even gift card go-tos. Plus, brighten up any room (or roof) with a curated assortment of holiday lights — all 25% off for a limited time only. Learn more → |
The work done by the study's researchers aims to solve this mistreatment by using the IVF practices they have found to preserve marine biodiversity in the Caribbean.
"By fine-tuning these methods, we can increase the efficiency and impact of coral restoration projects, giving these vital ecosystems a better chance of recovery," said Valérie F. Chamberland, the study's lead author and a researcher at SECORE International.
The GCRMN also recommended solutions including reducing coastal runoff, banning the use of destructive fishing gear (such as spearguns and gill nets), and reducing parrotfish fishing (and possibly banning fishing of large herbivorous species and grouper).
|
Should we be actively working to kill invasive species? Click your choice to see results and speak your mind. |
Reducing and banning fishing would allow herbivores to take care of algal overgrowth, which would also bring more balance to the Caribbean's marine ecosystems.
Join our free newsletter for good news and useful tips, and don't miss this cool list of easy ways to help yourself while helping the planet.










